
Задний отдел кишечника личинок Anisoptera в случае необходимости, как, например, бегства от врага, может служить также для целей передвижения.
Выбрасывая из кишечника сильную струю воды, личинка делает большой скачок вперед (принцип обратного толчка). При быстрых последовательных сокращениях и расширениях прямой кишки личинки могут двигаться со значительной скоростью. Таким образам, кишечник личинок Anisoptera не только выполняет свою основную функцию при пищеварении, но является также органом дыхания и движения.

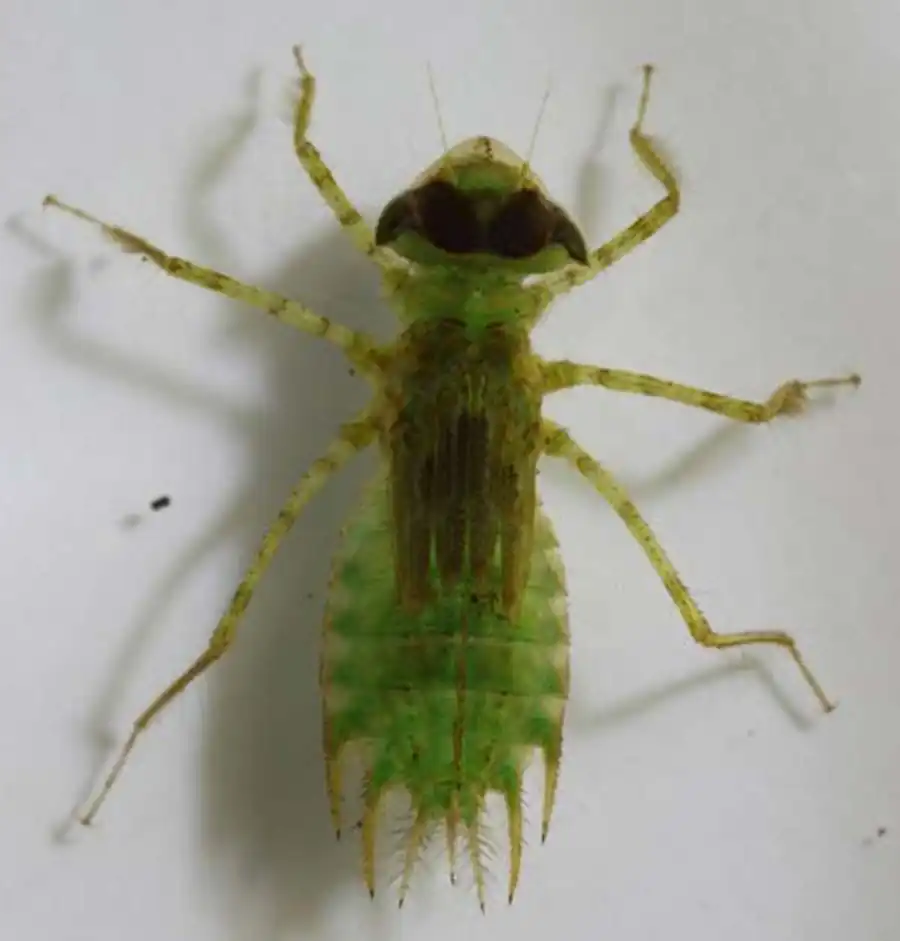
У личинок Zygoptera жаберного пузыря и ректальных жабр не имеется. Дорсальные продольные трахейные стволы в самой задней части брюшка сближены между собою и входят в виде двух параллельных ветвей в среднюю хвостовую пластинку, соответствующую дорсальному анальному придатку Anisoptera. От дорсальных стволов в девятом брюшном сегменте отходят ветви, входящие соответственно в правую и левую боковые хвостовые пластинки, являющиеся преобразованными церками; по бокам хвостовых пластинок расположены короткие церкоиды. От одного или двух центральных стволов, проходящих вдоль хвостовых пластинок, отходят многочисленные трахейные ветви, только на концах переходящие в трахейные капилляры.

Ранее считалось, что хвостовые пластинки личинок Zygoptera служат для дыхания, поэтому они назывались трахейными жабрами. На самом деле хвостовые пластинки, покрытые плотным хитином и расположенные в вертикальной плоскости, играют роль хвостового плавника, при помощи которого личинки могут быстро плавать. Для получения большего сопротивления воде, все пластинки между собою складываются. При удалении хвостовых пластинок, нормальная жизнь личинки не прекращается, замедляется лишь их плавание.

Дыхание личинок Zygoptera, так же как и личинок Anisoptera, совершается при помощи заднего отдела кишечника. Если к воде, в которой находится личинка, прибавить мелкой взвеси, то под увеличением удается рассмотреть входящий и выходяший токи воды. У личинок большинства видов (Lestes, Coenagrion и других) в прямой кишке проходят три продольных, резко отграниченных складки, занимающих приблизительно две трети длины этого отдела кишечника и хорошо заметных снаружи кишки при вскрытии личинки, после удаления покровов брюшка. Газообмен происходит через богатый кровью дыхательный эпителий складок, которые могут считаться кровяными жабрами.

У личинок Agrion (=Calopteryx) кишечные складки снабжены большой сетью трахейных капилляров, входящих в эпителиальные клетки, выстилающие внутреннюю поверхность кишки. Таким образом, личинки Agrion, у которых сами стенки кишечника служат как бы трахейными жабрами, занимают промежуточное положение между остальными личинками Zygoptera, дышащими кровяными жабрами, и личинками Anisoptera, обладающими постоянными ректальными трахейными жабрами.